$80,500
$91,000
11.5%For more information regarding the value of a property, please contact us for a free consultation.
0.5 Acres Lot
SOLD DATE : 01/23/2025
Key Details
Sold Price $80,500
Property Type Vacant Land
Listing Status Sold
Purchase Type For Sale
Subdivision Harbour Landing
MLS Listing ID SK981452
Sold Date 01/23/25
Lot Size 0.502 Acres
Acres 0.5021809
Source Saskatchewan
Property Description
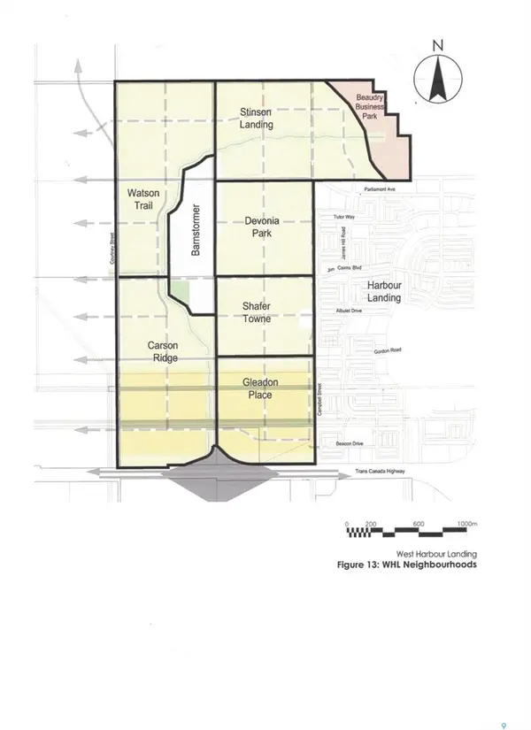
SEVEN 25' x 125' undeveloped residential lots in Devonia Park or Phase IV of West Harbour Landing. Devonia Park is a quarter section of land originally subdivided into 1,400 lots in 1912. Investment opportunity only at this time with potential to build on in the future. Brokerage sign at the corner of Campbell Street and Parliament Avenue. GST may apply to the sale price. More information is in the 'West Harbour Landing Neighborhood Planning Report'. There will be other costs once the land is developed.
Location
Province SK
Community Harbour Landing
Building
Lot Description Corner, Rectangular
Others
Ownership Freehold
Read Less Info
Want to know what your home might be worth? Contact us for a FREE valuation!
Our team is ready to help you sell your home for the highest possible price ASAP
Learn More About LPT Realty








